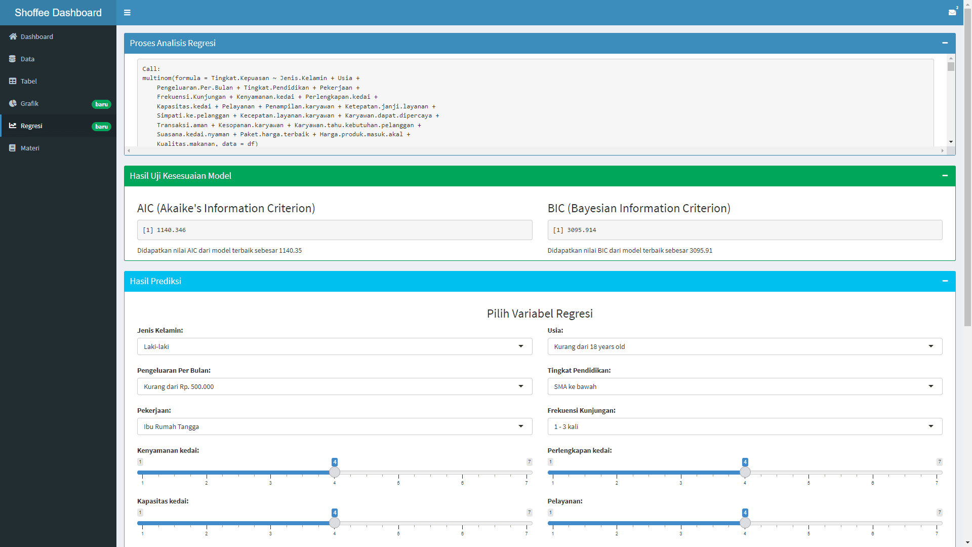
Shop Coffe Dasbor adalah sebuah website yang menampilkan hasil dari analisis regresi logistik multinomial dan visualisasi data tingkat kepuasan pelanggan di kedai kopi. Analisis regresi logistik multinomial digunakan untuk memprediksi faktor-faktor apa saja yang mempengaruhi kepuasan pelanggan di kedai kopi. Sedangkan visualisasi data digunakan untuk memudahkan pemilik kedai kopi dalam memahami data dan hasil analisis yang telah dilakukan. Pada web shop Coffe Dasbor, pemilik kedai kopi dapat melihat hasil analisis regresi logistik multinomial yang menunjukkan faktor-faktor apa saja yang mempengaruhi kepuasan pelanggan di kedai kopi. Selain itu, pemilik kedai kopi juga dapat melihat visualisasi data tingkat kepuasan pelanggan di kedai kopi dalam bentuk grafik dan tabel yang mudah dipahami. Dengan adanya web shop Coffe Dasbor, pemilik kedai kopi dapat mengambil keputusan yang tepat dalam meningkatkan tingkat kepuasan pelanggan di kedai kopi mereka. Mereka dapat melihat faktor-faktor apa saja yang mempengaruhi kepuasan pelanggan dan mengambil tindakan yang tepat untuk meningkatkan kualitas produk dan layanan mereka.





Tag :

Teknologi R Shiny |
Jenis Web Dasbor |
Kontributor Agus Wahyu |
Dipublikasikan 22 Juni 2022 |
Diperbarui 23 Juni 2024 |
Shop Coffe Dasbor adalah sebuah website yang menampilkan hasil dari analisis regresi logistik multin...